萍乡田家炳*人行天桥来了!(附效果图)
来源:吉屋网 2018-12-24 18:00:05公示说明
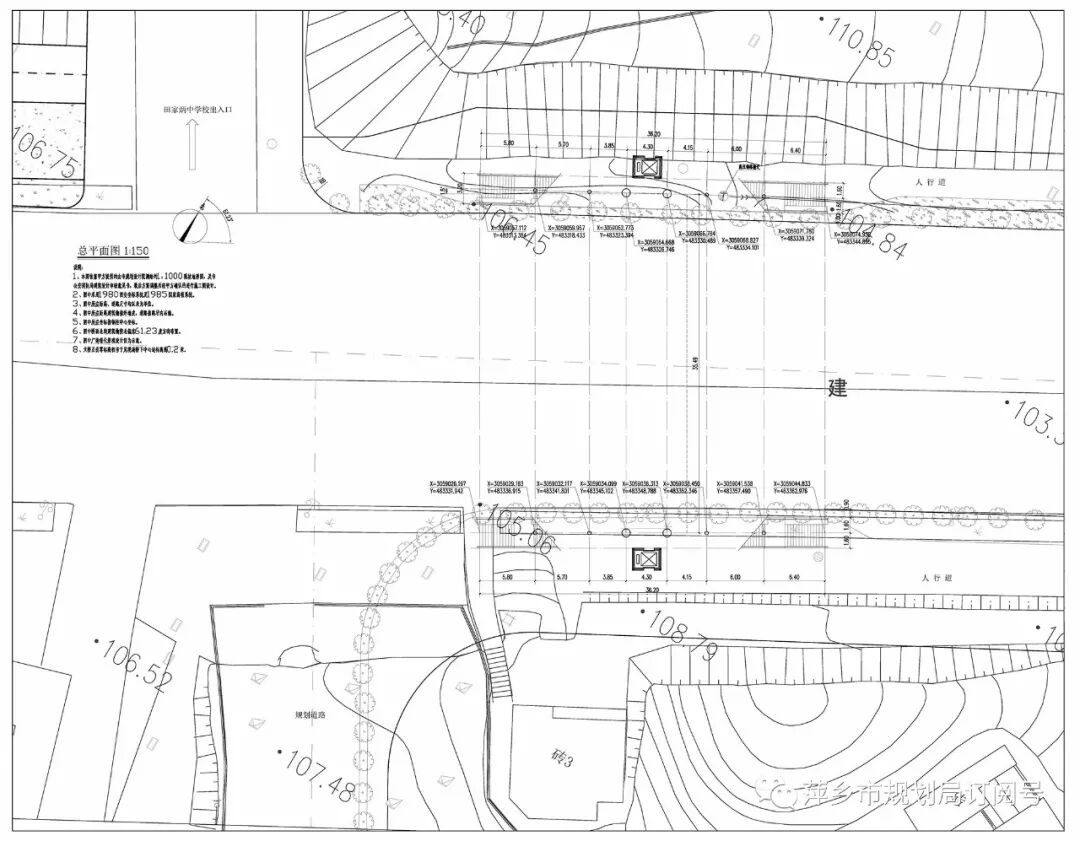
萍乡市城市建设投资发展公司的田家炳*人行天桥建设项目位于建设西路田家炳*左侧田家炳*段,现申请办理建设项目选址意见书。根据《中华人民共和国城乡规划法》,将该项目规划意见进行现场批前公示,并在萍乡市规划局网站进行同步公示。如对项目有不同意见和建议,请于公示期间以书面形式向安源规划分局(位于安源大厦14楼)或市规划信息中心(位于韶山西路1号2楼)反馈。利害关系人享有听证的权利,如要求听证,请于公示期间或公示期届满之日起五日内向市规划局提出书面听证申请。
方案详细指标:
拟建萍乡市城市建设投资发展公司的田家炳*人行天桥建设项目主桥宽度为5米,跨度为32.4米,桥面长度为38.8米,高度为6.6米。
效果图如图所示。
公示时间:2018年12月20日—2018年12月28日
监制单位:萍乡市规划局
监督电话:7191965 6661892
市规划局网站:ghj.pingxiang.gov.cn
微信公众号:pxsghj
微博地址:http://weibo.com/pxsghj


买房交流
348
人正在讨论萍乡楼市
萍乡买房交流(348)
萍乡在售楼盘
萍乡楼市
- 金御天下,国庆特惠 2021-09-28
- 9月1日至15日,萍乡新增可办证商品房 2021-09-28
- 博状元 赢壕礼丨鼎鑫·公元壹品邀您共襄中秋盛宴! 2021-09-18
- 樾满中秋,美好团圆时!9月19-21日,萍乡璞樾里邀您一起共 2021-09-18
- 恒润紫园首开“红冠全城”,开盘后持续热卖! 2021-09-16
